本篇文章內容由[中國幕墻網]編輯部整理發布:
術業有專攻!“硅寶科技”分享四招防臺風秘笈
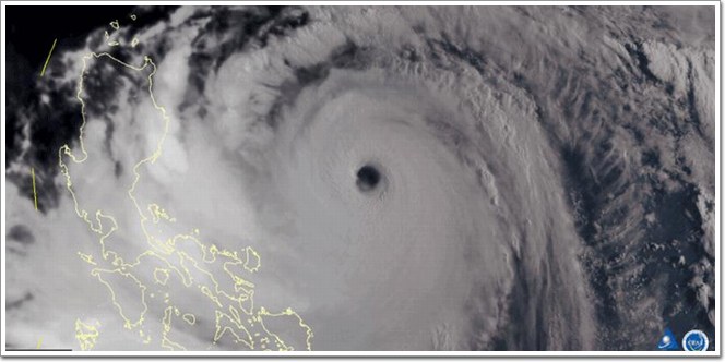
2018年9月16日17時,第22號臺風“山竹”(強臺風級)在廣東臺山海宴鎮登陸,登陸中心附近最大風力14級(45米/秒,相當于162公里/小時),中心最低氣壓955百帕。與2016年9月“莫蘭蒂“臺風襲擊廈門(詞條“門”由行業大百科提供)相比,其風力等級、風速等幾乎持平。不僅對廣東、廣西、香港等地區的房屋、樹木、電力等造成極大破壞,也給建筑外圍護結構——幕墻造成了不同程度的損壞。

臺風剛過,“硅寶科技”應用技術服務團隊快速響應,第一時間奔赴深圳。根據現場的走訪調查了解到,已有部分建筑幕墻出現不同程度受損,例如玻璃面板破損、建筑物漏水、外墻脫落等問題。經初步分析,除了此次臺風的實際風力超出幕墻風荷載標準規范(設計值),從而導致建筑幕墻受損的原因以外,在設計、材料選擇和維護保養方面等暴露的問題,更是需要我們去思考和解決的。

幕墻作為建筑的“霓裳”,具有遮風、擋雨、隔聲、保溫、采光(詞條“采光”由行業大百科提供)、通風、抗震以及裝飾等功能,是高層建筑(詞條“高層建筑”由行業大百科提供)的首選外圍護結構。而硅酮密封膠由于自身具有優異的耐氣候老化性和耐高低溫性能,配合廣泛的粘結性、良好的物理機械性能,在各類幕墻、門窗(詞條“門窗”由行業大百科提供)的結構粘結和防水密封中得到廣泛應用。臺風中出現門窗(詞條“窗”由行業大百科提供)幕墻玻璃掉落、漏水漏風……到底是什么原因呢?聞道有先后,術業有專攻!今天,來自中國有機硅材料工業發源地的“硅寶科技”,將從硅酮密封膠的角度上,對高層建筑如何抵御超強臺風,提出以下幾個方面的建議:
一、設計方面
1.1 建議選用超高性能硅酮結構密封膠
硅酮結構密封膠在幕墻中玻璃與鋁型材之間的連接起到非常關鍵的作用。硅酮結構密封膠承受荷載和作用產生的應力大小,關系到幕墻構件的安全;對結構膠必須進行承載力核算,必須要保證最小的粘結寬度和厚度。硅酮結構密封膠的拉伸(詞條“拉伸”由行業大百科提供)粘結強度值在國家強制性標準GB 16776-2005《建筑用硅酮結構密封膠》中明確規定了不低于0.60MPa;在風荷載或地震作用下,其總安全系數取值不小于4。根據JGJ 102-2003《玻璃幕墻工程技術規范》中硅酮結構密封膠的強度設計值:f1=0.2 N/mm2, f2=0.01 N/mm2。這個取值是根據概率極限狀態設計方法所得,不能因選取的密封膠不同而輕易進行更改。

在進行硅酮結構密封膠計算時,可以考慮在計算時提高系統的整體安全系數,盡量采用超高性能硅酮結構密封膠(強度值≥1.2MPa,伸長率≥200%),提高膠的安全系數,保證粘結部位有充分的余量,能夠應對超強臺風。
1.2適當提高基本風壓
在進行硅酮結構密封膠計算時,需要考慮風荷載、地震作用、板片永久荷載的影響。在超強臺風區域,相對而言,地震作用、板片永久荷載影響相對比較穩定,而波動較大的是風荷載的變化。
本次臺風“山竹”登陸時,中心附近最大風力14級(45米/秒,相當于162公里/小時),核算出來的風壓為1.26 kN/m2,已經超過了深圳和廈門地區100年的風壓值。因此在臺風多發區域進行設計核算時,可以考慮提高基本風壓,進而抵御超強臺風。

1.3提高中空玻璃外片的承載能力(詞條“承載能力”由行業大百科提供)
玻璃幕墻采用中空玻璃時,應符合現行國家標準GB/T 11944-2012《中空玻璃》:中空玻璃應采用雙道密封;隱框、半隱框及點支承玻璃幕墻用中空玻璃的二道密封膠應采用硅酮結構密封膠,中空玻璃結構密封膠寬度應≥5mm,內道丁基膠層寬度應≥3mm。中空玻璃的二道密封膠接口設計可以參考JGJ 102-2003《玻璃幕墻工程技術規范》中5.6章節進行核算。考慮超強臺風時,二道密封膠的粘結寬度應大于計算值,保證風荷載增大時中空玻璃外片也能夠完整地粘合在主體結構上,防止出現由于外片粘結寬度不夠而導致的外片失效掉落。
1.4 明確特殊部位做法
在超強臺風的作用下,幕墻開啟扇部位不可避免會發生一些漏水的情況。但我們在設計時需要考慮盡可能提高開啟扇的防水等級。在特殊部位的設計時,如異形造型、轉角(詞條“轉角”由行業大百科提供)部位,及需要現場板片切割時,必須明確材料的具體做法,且預留足夠的空間保證密封膠的粘結。
二、施工管理
1.1 項目開工前測試
硅酮結構密封膠在使用前,應經國家認可的檢測機構進行與其相接觸材料的相容性和剝離粘結性測試。

相容性和剝離粘結性測試
1.2 施膠前檢查
在項目施膠前,需要對密封膠進行檢查。幕墻板片大多在工廠內使用設備混合的雙組分硅酮結構膠裝配而成,在每天施膠時必須進行:蝴蝶測試(確認膠是否混合均勻)、拉斷測試(確認膠的可操作時間)、隨批剝離粘結性測試(確認膠與基材的粘結性),必要時進行蛇形測試(確認膠的整體固化是否正常)。

蝴蝶測試、拉斷測試和隨批剝離粘結性測試
1.3 詳盡的施工記錄
密封膠在施工時,必須嚴格按照標準的施工流程進行,標準的“兩塊抹布清潔法”、必要時使用底涂預處理、保證施膠的厚度和寬度滿足設計要求,注膠過程中保證均勻一致性、防止引入氣泡等,并做好相應的施工記錄。

打膠(詞條“打膠”由行業大百科提供)記錄表和密封膠尺寸設計
1.4 充足的養護時間
硅酮結構密封膠的固化受到外界環境的影響較大,冬夏季硅酮結構密封膠固化的速度有一定差異,因此硅酮結構密封膠在施打后應嚴格按照標準進行養護,才能達到較好的應用性能。幕墻板片在搬運和安裝之前,均必須通過現場的割膠測試來進行確認,如果密封膠沒有固化完全,與基材粘結效果不佳,不允許進行板片的搬運及安裝操作。
三、割膠檢查
成品割膠測試適用于裝配現場測試結構密封膠粘結性的檢查,用于發現工地實際應用中的問題,如:基材不清潔或清潔不當、使用不合適的底涂、施工方法不當、不正確的接縫裝配、接縫設計不合理以及其他影響粘結性的問題。該項檢測需硅酮結構密封膠在標準條件下完全固化后進行,完全固化時間通常需要14~21天(雙組分14天,單組分21天)。

割膠檢查
四、建筑幕墻維護
根據JGJ 102-2003《玻璃幕墻工程技術規范》要求,建筑幕墻竣工驗收后一年時,應進行全面的檢查,此后每五年檢查一次。同時,在出現惡劣天氣后,應及時進行全面的系統排查。
在幕墻的定期維護保養過程中,我們首先需要檢查硅酮結構密封膠與基材的粘結性,并對硬度值進行檢測,初步判斷膠體的老化情況,如有必要現場割膠后進行定量的力學性能考察。其次耐候密封膠也需要注意是否存在開裂、脫粘等現象,必要時進行隨機割膠檢查。同時,針對檢查出來的問題盡快制定專業的維修方案,保證幕墻的結構安全和防水密封性能。
用好膠,選硅寶!
綜上所述,高層建筑幕墻是可以通過在設計時提高安全系數,選擇優質的密封膠材料,同時嚴格落實施工管理,以及到位的后期幕墻維護,包括進行必要的割膠檢查等多種方式相結合,來抵御超強臺風,進而減少自然災害造成的損失,保證建筑幕墻使用安全。
記。号_風給您“上一課”,代價是昂貴的!“硅寶科技”技術交流服務活動,不僅免費,而且隨時在您身邊。預約熱線:15884528368;028-85319066